朝6時頃出船、5時30分頃受付開始(5時45分頃受付場所にて席決め
☆一つテンヤ真鯛釣り 伊良湖沖 水深30m前後
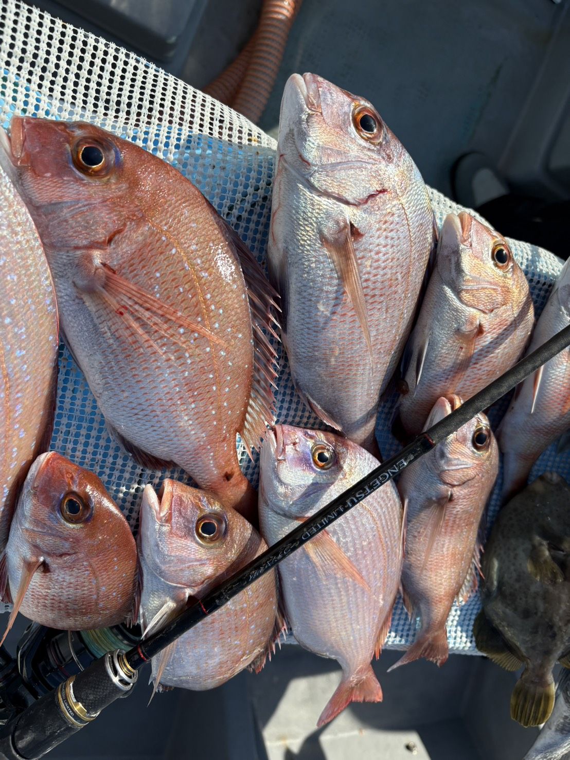
シマノ一つテンヤ試釣会!絶好調ー!
本日はシマノさんから竿の貸出し試釣会です、シマノフィールドテスター鈴木新太郎さんご乗船で皆さん伊勢湾一つテンヤ真鯛釣りを楽しんでいただけました。釣具イシグロ西尾店フィッシングマイスター中村さんも同船でしたよ、タックル等詳細お問い合わせもどうぞ。
皆さん竿の感度でこれ程面白くなると驚きと興奮でした。
伊勢湾一つテンヤ真鯛釣りお問い合わせ多数です!レンタルタックル(数に限りあり)もありますので興味ある方は是非!
☆タチウオ(テンヤ専門)伊良湖沖
タチウオ 30~70本 入れ食い
伊良湖沖タチウオ依然絶好調!まだまだ楽しめますね。
午後ショート便タチウオも出船中!午後便は港前釣行、伊良湖沖テンタチの練習にも是非!天秤仕掛け可(オモリ50号)サンマ餌1パック付(追加有料)、テンヤ可(テンヤ40~50号)イワシ餌販売あり
☆伊勢湾一つテンヤ真鯛 マダイ爆発中!テンヤ6~18号
☆ウタセ五目 高級魚乱舞中!胴付き3本針オモリ60号
☆午後ショート便タチウオ釣り、ウタセ五目釣り、3時間の釣行
伊良湖沖タチウオ(テンヤ専門)お一人様大人子供9,000円 釣り座先着順
一つテンヤ、お一人様大人子供10,000円(人数制限あり)釣り座先着順 活きウタセエビの餌付
ウタセ五目、大人1人9,000円、中学生まで7,000円 釣り座先着順 活きウタセエビの餌付 仕掛けオモリ販売あり
午後ショート便、お一人様6,000円、中学生まで5,000円釣り座先着順、13時30分までに集合 釣り座先着順 近場
受付にて釣座を決めていただきます、受付より早く来た方はクーラーBOX等を置いて順番を取って下さい。釣座決め開始時に受付場所にいない方は次の方優先とさせていただきます。
グループの方は代表者がクーラーBOX1個で順番取って下さい
出船予定
2025年 令和7年
出船予定
朝便5時30分頃受付開始、5時45分頃受付場所にて席決め
10/31(金)
一つテンヤ真鯛(空き)
ウタセ五目(空き)
11/1(土)から5時30分受付開始、45分受付場所にて釣り座決め、準備出来次第出船します
11/1(土)
タチウオ2隻分乗
午後ショート便タチウオ出船確定(空き多数)
午後ショート便ウタセ五目募集中(現在2名様)
11/2(日)
タチウオ(満席)
ウタセ五目(満席)
午後ショート便タチウオ(空き)
午後ショート便ウタセ五目募集中
11/3(月祝)
タチウオ(空き)
一つテンヤ真鯛募集中(現在1名様)
ウタセ五目募集中(現在2名様)
11/6(木)
タチウオ募集中
一つテンヤ真鯛(空き)
ウタセ五目募集中
11/7(金)
タチウオ募集中(現在2名様)
一つテンヤ募集中
ウタセ五目募集中
11/8(土)
タチウオ募集中
一つテンヤ真鯛(現在1名様)
ウタセ五目募集中
11/9(日)
タチウオ(空き)
一つテンヤ真鯛(空き)
11/10(月)
タチウオ募集中
一つテンヤ募集中
ウタセ五目(現在2名様)
11/15(土)
タチウオ募集中(現在2名様)
ウタセ五目(空き)
一つテンヤ真鯛募集中
11/16(日)
タチウオ募集中
ウタセ五目(空き)
一つテンヤ真鯛募集中

伊勢湾一つテンヤ真鯛釣り!
今日も絶好調ー!

イシグロフィッシングマイスター!
どっぷりハマってしまう方が続出中!
伊勢湾一つテンヤ真鯛船、予約受付中!
ライトタックルで面白すぎる!
竿の感度が凄い!
シマノ一つテンヤ真鯛試釣会大成功!


シマノフィールドテスター鈴木新太郎さん!


新太郎さん黒鯛!


イシグロフィッシングマイスター中村さんお見事!
伊勢湾一つ真鯛が面白過ぎる!

試釣会大成功!
ありがとうございました!
伊良湖水道タチウオ入れ食い!





伊勢湾一つテンヤ真鯛船、タチウオ船、ウタセ五目船、予約受付中!